Aquaculture for all
Finally a tariff you’ll enjoy: Get 30% off all yearly membership plans by entering code TFS30 at checkout.

Meet the farmerA switch to carp farming proves successful in Uttar Pradesh

Husbandry Recirculating aquaculture systems (RAS) Catfish / Pangasius +8 more

Kailash Narayan Singh ventured into farming carp five years ago and has since become one of the largest aquaculture producers in the north Indian state of Uttar Pradesh.

by Indian aquaculture specialist
Gurvinder Singh thumbnail
Man holding a fish
Fish farmer Kailash Narayan Singh

Singh started farming in 2019, at the age of 55, after working in carpet exports and selling water purification machines

What inspired you to embark on a career in aquaculture?

I was into different businesses like carpet exports and selling water purification machines. I hardly had any idea about fish farming but was inspired by the vision of PM Modi, who encouraged people to join the sector because of its enormous potential. I started farming in 2019 at the age of 55.

Did you take any formal training?

My aquaculture training mainly comprised of online sessions during the pandemic. I used to attend every webinar, whether paid or free, on fish farming and gained much knowledge about it. I did practical implementation of my knowledge in my farm and got experience. Now people invite me as a guest on webinars.

What was your experience when you started fish farming?

I thought the market would be very competitive in Uttar Pradesh but there was no proper infrastructure and good quality feed was not available, so I started supplying market feed in 2017. I returned to my village – Bankat Sewapuri, in Varanasi District – to start fish farming in 2019.

I found that farmers were not properly trained and organised a training session for locals that was presided over by senior officials from the state fisheries department. Around 100 individuals came for the event and 60 people showed interest in fish farming. Several farmers have joined fish farming in the past five years since the state government brought several schemes and subsidies for the growth of the sector and for generating livelihoods.

Man pointing at a fish pond
Singh next to one of his ponds

Singh's fish farm in the north Indian state of Uttar Pradesh includes eight RAS tanks and three ponds spread across a half hectare of land

What is the size of your farm and what species do you operate?

I mainly cultivate carp and I have eight recirculation aquaculture system (RAS) tanks of 25 by 25 ft and three ponds spread across a half hectare of land. I am the second farmer in Varanasi district to install a RAS. The total cost was Rs 50 lakhs ($60,150) of which the government gave me a 40 percent subsidy.

We mainly use the RAS tanks for rearing juveniles, then transfer them to the pond once they attain 250-300 grams. Three months later the carp are harvested from the pond at an average size of 1-1.5 kg. This allows us to do 3-4 harvesting cycles annually.

What is your mortality rate and what do you to minimise disease?

The mortality rate ranges from 10 to 25 percent, but still we are running at a profit. We use medicines available in the market to maintain pH level and also give them medicated feed to prevent diseases.

What are the main challenges that you face?

The climate is the biggest challenge here for carp, as the optimum temperature for growth is 25 to 35°C but here the temperature dips to 0°C in winters and can reach 50°C in summer. It is difficult for the fish to survive if the temperature goes below 15°C. We use ground water and a pump to maintain the water temperature. The ground water is initially used in the RAS, then the ponds, then to irrigate and fertilise our fields.

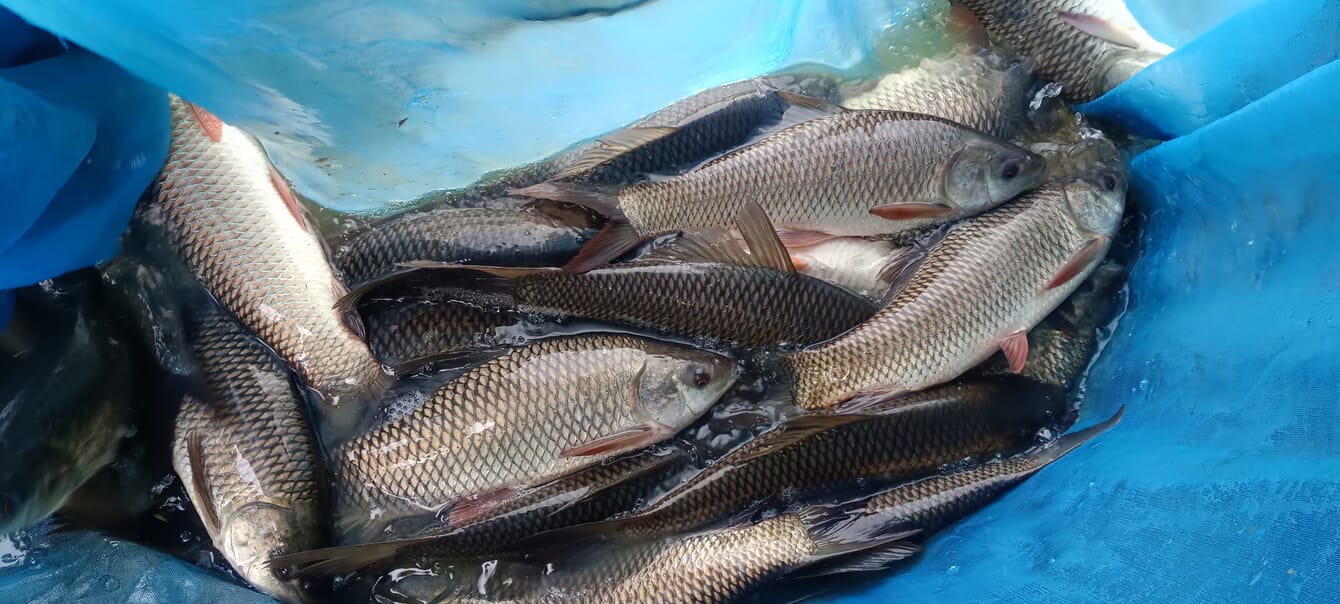
Harvested carp
Fish harvested from Singh's farm

Three months after being transferred from RAS tanks to ponds, the fish are harvested at an average size of 1-1.5 kg, allowing Singh to do 3-4 harvesting cycles annually

Are more people adopting RAS in your region?

RAS is a big ticket project but people are attracted by the huge subsidies that the government offers for RAS projects – covering 40 percent of the costs for men and 60 percent of the costs for women. Some people squander the money and waste their own investment.

What is your annual production?

Our annual production is 70-80 tonnes of carp and we sell around 40 lakhs ($48,133) worth of fish annually.

What is your normal day at work?

My house is beside my ponds and RAS and I stay around the clock to monitor the fish. Fish farming is not very labour intensive except during the harvesting season. I feed the fish during the morning and evening hours every day. We have installed CCTV cameras here to prevent any kind of theft.

RAS facilities
Singh's RAS facilities

Singh uses RAS tanks – each one measuring 25 by 25 ft – to rear juveniles before transferring them to ponds once they reach 250-300 grams

What’s your biggest worry at work?

The biggest worry is the risk of disease which can cause substantial damage to business. The importance is to maintain proper water quality parameters to prevent the spread of waterborne diseases.

Have you suffered any major loss in the business?

Yes, I had faced losses in 2019 because I did bulk harvesting. We harvested 5 tonnes of fish from the pond and kept them in RAS tank for sale. But they suffered injuries and all of them died. I faced a loss of Rs 5 lakhs ($6,016) but I believe that losses in the initial period of business are a good lesson for future gains. I now harvest fish in small quantities and in multiple cycles.

Are there any individuals or departments who have particularly helped with your growth?

Yes, I am thankful to NS Rehmani, joint director (fisheries) of the Uttar Pradesh government, as he encouraged me to start fish farming. He also presided over the first meeting of farmers which was held in my house in 2019. I am also thankful to PM Modi for his motivation for [agriculture] farmers like me to diversify into fish farming.

Fish pond
One of Singh's three ponds

The optimum temperature for carp growth is 25 to 35°C but in Utter Pradesh the temperature dips to 0°C in winters and can reach 50°C in summer, therefore Singh uses ground water and a pump to maintain the water temperature

Is there any additional equipment you would like to have on your farm?

We need a laboratory to check water parameters and technical support as it would help to grow production. There should also be a mobile laboratory to visit every pond to check water parameters.

What’s your ultimate ambition in this sector?

We have a limited land area but we could buy new land if the demand for pangasius increases. I am also planning to open a processing unit here soon.

What is your advice to budding fish farmers?

Fish farming requires a proper scientific approach. Many social media bloggers who made videos of people earning millions in fish farming encouraged several others to venture into it with the dream of making quick bucks. But they suffered huge losses in a short span.

Fish farming is profitable but requires proper training and knowledge, as farmers should know the depth of the pond required, stocking density and weather conditions. It is very important to learn from an expert before starting fish farming. I urge farmers to start fish farming on at least 10 percent of their land, as it offers a huge opportunity if done in a systematic way and gives more income than crops or vegetable farming.

Series: Meet the farmer

Three hatcheries, two generations

Mohamed Sameh El-Sayed, who runs Al-Zohour's three tilapia hatcheries in Egypt alongside his father, Engineer Sameh El-Sayed, has faith that the country’s tilapia sector will continue to grow.